
Synonymous with both subways and shopping but most recently with streetscaping construction woes, Bloor Street has joined St. Clair as an example of the troubles tied to Toronto’s aspirations of greater beauty and efficiency. As cheeky new pylon ads proclaim that spring will bring “134 new condos” (ie: trees) to birds in the area, Bloor is finally nearing the end of its dramatic saga and settling into its much-hyped greener identity. However, while attractive couture, condos and now trees claim the street corner by corner, the man who had the most impact on Bloor Street’s identity – Joseph Bloor himself – is still awaiting proper acknowledgement.
Charles Pelham Mulvany and Graeme Mercer Adam give a good overview of Joseph Bloor’s back story in their book History of Toronto and the County of York. Born in 1789 near Staffordshire, England, Joseph Bloor moved to Canada with his wife Sarah Lees in 1819. Bloor began life in the Town of York as innkeeper of the Farmer’s Arms on King Street, where he worked from 1824 through 1831. He used his profits from the inn to purchase four tracts of land – land that what would later become Bloor Street – and founded the Village of Yorkville with William Jarvis. As Mike Filey noted in a 2009 column, Yorkville was essentially Toronto’s first suburb: Bloor moved his family of six north and began selling small lots to others seeking “clean suburban air outside the city.” Bloor also opened a brewery and began competition with Yorkville’s other resident beer maker, Severn Brewery.
Built in the Rosedale Valley, Bloor’s brewery dammed the nearby creek to generate its water power. In their profile on the brewery, Lost Rivers wrote that the damming created a popular pond that offered both a swimming and skating venue. Today, the reshaped topography of the area can make any of these past uses hard to place. Toronto history guru and 2009 Heritage Toronto Special Achievement Award recipient Stephen Otto told me during a discussion on Bloor Street that “anybody looking for the location of Bloor’s brewery today can practically stand on Sherbourne bridge and drop a penny.” Bloor’s brewery was sold to John Rose in 1843. Renamed the Castle Frank Brewery, it operated until 1864 and was demolished in 1875. Severn Brewery came to outlast its rival, operating until 1886 and earning a place on the Yorkville Crest, represented as a beer barrel with the letter ‘S.’ Bloor instead lives on in the identity of one of Toronto’s most prominent streets.

Ranked the 20th most expensive shopping street in last year’s list by New York real estate company Cushman & Wakefield, “Bloor Street” has evolved to acquire the same sort of stylish reputation as the brand name flagships found along it. With Libeskind’s landmark ROM Crystal as an elaborate centrepiece and thousand-dollar scarves ripe for impulse purchase, Bloor from Yonge to St. George has become something of a high-class home base. The Cushman & Wakefield report found retail rent on Bloor Street in 2010 cost an average $313 per square foot – up from $300 in 2009. This is dwarfed by the $1,664 per square foot cost of setting up shop on Fifth Avenue, but it’s also significantly more than the next Canadian runner-up: Vancouver’s Robson street, which costs $220 per square foot.
Toronto travel guides allege that Bloor’s strip of retail stores has been dubbed the “Mink Mile,” but I’ve yet to hear anyone use this term aloud (journalists, for their part, also do a good job of making this seem like far more common a nickname than it actually is). The name seems to borrow as much from Chicago’s “Magnificent Mile” as Bloor’s new physical identity does – Chicago’s famous retail strip was oft-cited as inspiration in early development proposals. Indeed, although its boundaries stretch far beyond Chanel and Prada, “Bloor Street” as a name tends itself to be most strongly associated with this posh Bloor-Yorkville strip; neighbourhoods farther east and west have nicknames that play off of their North/South intersections (“Blansdowne”) or their own identities (“Koreatown”).
Regardless of its connotation today, there’s great debate over whether “Bloor Street” as a name is even accurate to its namesake – much debate has occurred over whether “Bloor” should actually be “Bloore.” Prominent Toronto historian Mike Filey, for one, contends that “Bloor” is a misnomer. Joseph Bloor, for his part, did a great job of encouraging such confusion: he signed his name on an early Upper Canada Land Petition without an “e,” but many of his later signatures include it. Presumably, the “e” came as he developed beyond just a brewer – possibly because he believed it paired better with his wealthy new status, which makes it ironic that Toronto’s most expensive street lives on today sans “e”. Bloor’s death did little to settle debates: his obituary refers to him without an “e,” while his gravestone includes one. For his part, Rob Ford seems to have launched his own quiet ruling on the matter, deciding that the appropriate name is actually neither Bloor nor Bloore, but Bloot.
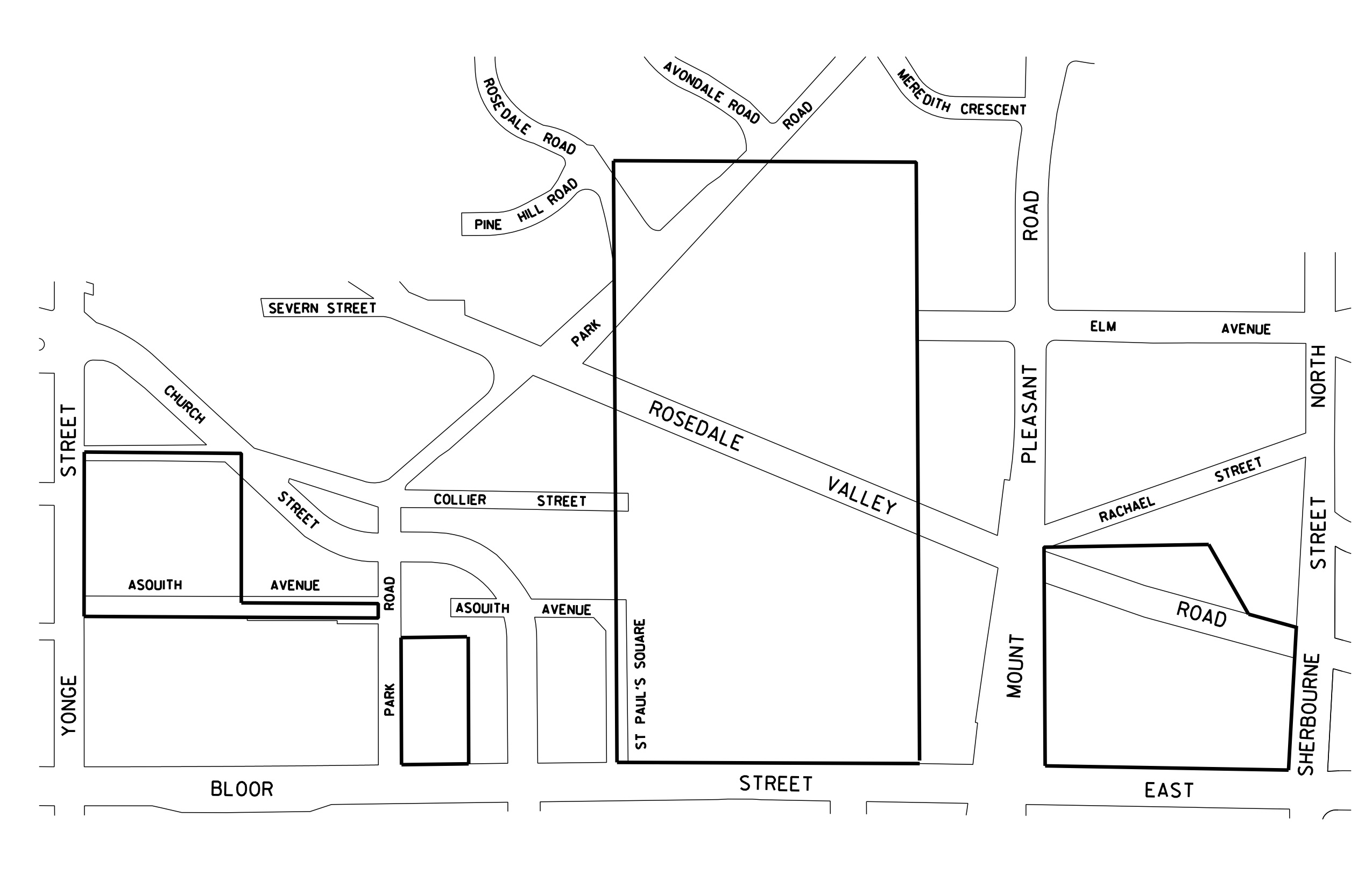
In any case, Toronto (or Yorkville, then) adopted Bloor’s family name without an “e.” An October 11, 1854 Globe and Mail advertisement marks likely the earliest mention of Bloor Street in print. Prior to this, Toronto’s Second Concession Road had gone by a number of other, short-lived names. Mike Filey covers the full sequence in his book Toronto: The Way We Were. Originally, the street took after the nearby St. Paul’s church opened in 1841 and went by St. Paul’s Road. Shortly after, the 1839 appointment of Lord Sydenham as the new governor of the Province of Canada led the road to be renamed Sydenham Road. The road next had a brief stint as Toll Gate Road, named after the temporary toll gate once stationed just North of Bloor and Yonge. Ultimately, Joseph Bloor’s role in developing various properties in the area led to today’s lasting Bloor Street moniker. Bloor’s property landholdings are outlined on the map above. For further history, Yorkville in Pictures gives a good visual sense of Yorkville in these early days.
Today, it’s hard to find mention of the man behind Bloor Street without turning to a book. As with any street, Bloor has taken on a life of its own, and the life that first led to the street has become but one story behind a place with many stories to tell. Nonetheless, efforts are underway to better recognize Joseph Bloor’s role in beginning these stories. On Bloor’s death in 1862, a memorial tablet was placed in the Bloor Street Methodist Church that stood then at Bloor and Park Road, where The Bay is located today. The tablet was moved across the street to Westminster Presbyterian Church when the Methodists merged with that body in 1925; they were later joined by the congregation of Old St. Andrew’s United Church and took the latter’s name. When St. Andrew’s [formerly Westminster] Church was demolished in the 1980s and the site redeveloped for an office building and new church, it was not possible to display the stone there, so it and several other memorials were put in outdoor storage in a fenced enclosure at the foot of the Grace Hospital smokestack. Once the Toronto Historical Board heard of this, it took them into its care and put them in proper storage.
Since then, several attempts have been made to have Bloor’s memorial re-erected in a protective case in front of the property at 121 Bloor, the site of the house shown above where Bloor was living when he died. Many parties have been involved in making this happen – St. Andrew’s Church, the managers of the office building, City and Heritage Toronto staff, architects working pro bono, conservators, potential sources to fund the estimated cost of $15,000 – but to date their collective efforts have not been crowned with success. Hopefully soon, the tablet and its accompanying interpretive plaques will make their debut as a gift to the street and enrich public understanding of this worthy man.
After its naming, Bloor Street’s next biggest historical milestone was the installment of the Bloor Street subway line in the 1960s. Now a fixture of Toronto, Transit Toronto‘s coverage of the line’s development explains that it was heavily criticized when it was first proposed. To many Torontonians, Bloor was an odd choice over Queen Street, which certainly began as a more prominent east-west street. In fact, the City’s first subway proposal in 1945 had called for a 13 station streetcar subway line along Queen. Nonetheless, by the time the City returned to reevaluate an east-west line, a number of factors shifted attention to Bloor. The street’s own streetcar line was up to 9000 passengers per direction per hour, and Bloor was also overloaded with automobile traffic. As cars fuelled the growth of lower-density suburbs, the population sprawled farther east and west. To the east, Queen Street offered only a limited route, as it gets cut off by the angled shoreline. With settlement skewing farther North anyways, the Danforth was becoming a more popular commuting path. Interestingly, a “flying U” compromise was floated for a while and would have created a subway line that dipped from Bloor at its edges to Dundas and then down to Queen.
Filey notes in Toronto: The Way we Were that backlash to the Bloor line was only really quelled because it was “well understood that the city’s next underground line would be built along Queen Street.” A half a century later, with a “Downtown Relief Line” now a mythical term, things have obviously played out according to a different plan. Today, Bloor-Yonge is easily the busiest subway station in the city, seeing 405,530 passengers pass through it daily. It’s clear that the Bloor line has also heavily shaped Toronto development.

Construction of the subway line saw the appropriation of 800 properties – 70% of them residential. Coupled with the subway line, new allowances for higher densities along Bloor dramatically and quickly changed its character. The architecture of the area gives good insight into the timeline of development: 1970 brought Modernist tower 101 Bloor Street West, while the Brutalist concrete construction of the 70’s introduced landmark tenants the Manulife Centre and The Bay in 1974 and Holt Renfrew in 1978, followed by the surge of soaring glass condos in the past decade. TOBuilt offers an excellent catalogue of past and present Bloor Street buildings, including such blasts from the past as Holt Renfrew’s original building at 144 Bloor Street West, demolished in 1955.

Today, one of the buildings getting the most attention on the street is the upcoming One Bloor East condo tower. Praised as one of Canada’s “most attractive corners”, Mike Filey notes that (the Northwestern corner of) Bloor and Yonge was actually once occupied by a cemetery. Coming full circle from these origins, the first proposal for a hybrid condo/ hotel on the site envisioned an 81-storey tower with “Cadillac-inspired” roof fins, to be built by Bazis International. The site was famous for drawing out eager buyers to “line up for weeks” back in 2007. Facing financing troubles, the Bazis eventually sold the site to Great Golf Homes, who unveiled their own 70-storey tower last year, designed by Harir Pontarini. While an attractive design, this outcome was still a disappointment to many urban who had been optimistic about the opportunity to turn the site into a great public space. As Christopher Hume put it in his own ode to a public square on the site, “a condo tower can go almost anywhere, but a square only makes sense in specific spots, none more so than Yonge and Bloor.” Instead, the corner will now end up contributing more to Toronto’s skyline than to its street life.

Of course, Bloor’s street life has undergone significant improvements in the past two years. For one thing, the busy pedestrian intersections of Bloor & Yonge and Bloor & Bay also account for two of Toronto’s three new scramble intersections, allowing shoppers to get from destinations like TD Bank to the Gap in less than half the time it used to take. After a long wait, shoppers this summer will also have trees to admire along their walk.

Once scheduled to finish in 2009, Bloor Street’s “Greener Bloor” project became a three-year affair that ballooned $4 million over budget to a total cost of $24 million. Last April, The Star ran five different parties’ perspectives on “How it all went wrong on Bloor,” citing mostly the poor sync between Toronto Hydro and the City’s contractors. The Bloor-Yorkville BIA originally proposed the project in 1998 and the new Bloor St. Business Improvement Area committed to paying back the $20-million paid upfront by the city through premiums to their annual taxes over the next 18 years, with the City itself ultimately covering $5 million. The plan, done jointly by Brown + Storey Architects with Architects Alliance, traded 53 parking spaces for wider granite sidewalks, lined in trees and planters, watered through an underground drip irrigation system. This labeled Toronto Star photo offers a good overview of all of the new touches along the street. Most recently, bike racks have also returned to Bloor.
Spacing published an analysis of the original Bloor Street project in its pedestrian issue back in 2005. In a 2006 response, Dylan Reid wrote that he was caught between endorsing the city’s investment in pedestrian space and dismissing the fact that this investment was, essentially, “pandering to the wealthy.” In something of a role reversal, these wealthy shoppers found themselves putting up with very rough conditions indeed as work went on – entering a store required walking a plank of sorts, over vast voids and through dust clouds. For their part, the marketing firms behind the street’s frustrated retailers had fun finding the silver lining in construction: Holt Renfrew ran signs telling shoppers that their makeup counter was ready to retouch anyone anyone braving the dust.
Photos posted on UrbanToronto last summer do a great job of balancing the conflicting sights seen last summer: ugly, under-construction catwalks, and the beautiful new sidewalks finished at the far east end. In any case, it’s nice to know that this year we can look forward to a street made up entirely of the latter. $1.3 million of commissioned art work is also scheduled to be unveiled at the official opening later this spring.

Clearly, the last few years have brought Bloor Street its fair share of problems. Now, as construction on the street’s central strip concludes and the street settles into its new identity, it is left with another identity to address. “Greener Bloor” may have fashioned Bloor Street a fresh new look, but fashion fades. If “Bloor Street” has come to signify style, then the man who gave the street its name – Joseph Bloor – should be honoured with the same eternality as style itself. While identifying Bloor Street as one of its “Villains” of the year last year, Torontoist wrote that the Bloor Street could very well end up a “Hero” this year “once the resentment has subsided.” If Bloor Street really wants to earn some respect, another positive step forward will be made when the street pays due respect to its own heroic figure: street founder Joseph Bloor.
Obviously, this post has dealt with only one small section of Bloor Street. Perhaps Bloor’s strength as a street is that it’s developed into such a diverse sectional slice of Toronto – from end to end, it balances the elite and the more everyday. Beyond the boundaries of “Mink Mile,” Bloor broadens its scope to offer a number of other commercial districts decidedly more neighbourhood-focused in character. Honest Ed’s, Koreatown, High Park, and Bloor West Village are all veritable destinations along Bloor in their own right, to name just a few. Ultimately, Bloor is an impossible street to cover exhaustively from end to end in the scope of this post, but I hope to touch other neighbourhoods can be covered in future posts, and I’d love you to share your own stories about Bloor Street below.



5 comments
Typo alert!
“The 1939 appointment of Lord Syndeham as the new governor of the Province of Canada led the road to be renamed Syndenham Road.”
should read:
“The 1839 appointment of Lord Sydenham as the new governor of the Province of Canada led the road to be renamed Sydenham Road.”
Eric: Thanks for the catch, Tom – fixed!
First of all, I love those “bird condo” signs on the sites where trees will be planted. Adorable.
I wanted to chime in to say that we have been involved with the greening of one section of Bloor St. — from Church to Avenue Rd. (9 blocks). Using a product of ours called the Silva Cell, the city is providing street trees with the conditions they need to thrive, mature, and truly become a part of the Bloor St. landscape for many years to come. While surely there remains much about Bloor St. to be improved, it’s our belief that the presence of trees has an overwhelmingly positive impact on your experience of a particular street. We’re glad to have had an opportunity to be a part of this element of Bloor St.
You can read more about this on our blog — http://www.deeproot.com/blog/blog-entries/blogto-asks-will-silva-cells-help-improve-our-urban-forest.
This is a superbly researched, beautifully written article. The blend of the historic and the contemporary is so well done, and the images were thoughtfully selected to illustrate the text.
Thank you Eric Mutrie for not under-estimating your readership and for writing this work of real scholarship. It was a pleasure to read. I would love to read more in-depth articles like this one on Spacing.
(PS. Your typo is still not fixed. The article still reads that Lord Sydenham was appointed the new governor of the Province of Canada in 1939. S/B 1839).
Severn’s name survives in Severn St, now bisected by the Yonge line.
50 years from now Yonge and Eglinton will look like this, with the Eglinton subway line proposed there. Meanwhile will a subway ever be built on Queen Street?